厚木市緑ケ丘4丁目 中古戸建

3,880万円

神奈川県厚木市緑ケ丘4丁目2-5

小田急小田原線「本厚木」駅バス12分神奈川中央交通「高校入口(厚木市)」停歩2分

価格
3,880万円
間取り/建物面積
4LDK/111.75㎡
所在地
神奈川県厚木市緑ケ丘4丁目2-5
築年
2006年10月(築19年)
駐車
有(2台)
交通

小田急小田原線本厚木」駅 バス12分 神奈川中央交通「高校入口(厚木市)」 停歩2分

厚木市緑ケ丘4丁目 中古戸建の基本情報

物件名
厚木市緑ケ丘4丁目 中古戸建
価格
3,880万円
建物面積
111.75㎡
土地面積
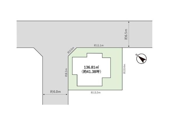
41.38坪(136.81㎡)
築年月
2006年10月(築19年)
総戸数
1戸
所在地
神奈川県厚木市緑ケ丘4丁目2-5
交通

小田急小田原線本厚木」駅 バス12分 神奈川中央交通「高校入口(厚木市)」 停歩2分

厚木市緑ケ丘4丁目 中古戸建の詳細情報

設備条件
  • 駐車2台可
設備(その他)
    -
駐車場/月額
有(2台)/0円
土地権利
所有権
国土法届出
不要
用途地域
第一種中高層住居専用
取引態様
一般媒介
引渡し
相談
備考
コンビニ「セブンイレブン厚木緑ケ丘店」が484m以内にある物件です。中古の戸建て物件のご紹介です。吹抜けがあるため、空間を広く感じることができます。安心の前面道路6m以上の条件を備えております。フィールドホームズは信頼と経験を活かし、厚木市にある戸建て探しのお手伝いを致します。hadano@field-homes.co.jpまでご依頼下さい。

厚木市緑ケ丘4丁目 中古戸建のコメント(おすすめポイント)

こだわりポイント満載の厚木市緑ケ丘4丁目 中古戸建。家から289mの場所に緑ヶ丘郵便局があります。戸建て物件をお探しの方は、便利な価格からなる中古物件はいかがでしょうか。吹抜けは広々とした印象をあたえてくれます。厚木市小田急小田原線本厚木周辺の一戸建てをお探しの方は、フィールドホームズにお任せ下さい。ご要望は0120-85-0251までお聞かせ下さい。

厚木市緑ケ丘4丁目 中古戸建で募集中の物件

  1. 【積水ハウス施工】

    33.80坪 (111.75㎡)

    3,880万円(114.79万円/坪)

周辺施設

  • 厚木市役所 緑ケ丘公民館の画像

    公民館

    厚木市役所 緑ケ丘公民館

    175m(3分)

  • 緑ヶ丘幼稚園の画像

    幼稚園

    緑ヶ丘幼稚園

    218m(3分)

  • 【厚木市】緑ヶ丘小学校の画像

    小学校

    【厚木市】緑ヶ丘小学校

    262m(4分)

  • 緑ヶ丘郵便局の画像

    郵便局

    緑ヶ丘郵便局

    289m(4分)

  • 池田クリニックの画像

    クリニック

    池田クリニック

    405m(6分)

  • セブンイレブン厚木緑ケ丘店の画像

    コンビニエンスストア

    セブンイレブン厚木緑ケ丘店

    484m(7分)

  • うめだ歯科医院の画像

    歯科

    うめだ歯科医院

    506m(7分)

  • 石川産婦人科の画像

    産婦人科

    石川産婦人科

    608m(8分)

  • 林中公園の画像

    公園

    林中公園

    626m(8分)

  • クリエイトS・D 厚木林北店の画像

    ドラッグストア

    クリエイトS・D 厚木林北店

    907m(12分)

  • メガマックス厚木店の画像

    アウトレット

    メガマックス厚木店

    990m(13分)

  • WILD-1 厚木店の画像

    その他

    WILD-1 厚木店

    1077m(14分)

  • 神奈川レジャーランド厚木店の画像

    ゲームセンター

    神奈川レジャーランド厚木店

    1083m(14分)

  • ホームセンターくろがめやの画像

    ホームセンター

    ホームセンターくろがめや

    1177m(15分)

  • ヤマダ電機テックランド厚木店の画像

    家電製品

    ヤマダ電機テックランド厚木店

    1193m(15分)

  • そうてつローゼン厚木林店の画像

    スーパー

    そうてつローゼン厚木林店

    1204m(16分)

  • 湯花楽厚木の画像

    温泉

    湯花楽厚木

    1222m(16分)

  • コープかながわ厚木戸室店の画像

    スーパー

    コープかながわ厚木戸室店

    1230m(16分)

  • 【厚木市】林中学校の画像

    中学校

    【厚木市】林中学校

    1342m(17分)

  • 蔦屋書店 厚木戸室店の画像

    書店

    蔦屋書店 厚木戸室店

    1353m(17分)

近隣の物件

  1. 厚木市森の里5丁目

    4LDK (117.58㎡)

    2,399万円

  2. 厚木市下荻野

    3LDK (92.74㎡)

    2,680万円

  3. 厚木市及川1丁目

    4LDK (95.58㎡)

    3,080万円

  4. 厚木市妻田西2丁目

    3LDK (104.72㎡)

    2,790万円

厚木市緑ケ丘4丁目 中古戸建

お気軽にお問い合わせください

LINEからお問い合わせ 無料お問い合わせ

フィールドホームズ

0120-85-0251

9:30~17:00★時間外は個別対応です!

(休:毎週:火曜日・水曜日)